Tea Commerce Land – Industrial
Sundowner Avenue & Gateway Boulevard
Tea, SD
Tea, SD
Sale Price
Contact Broker
Size
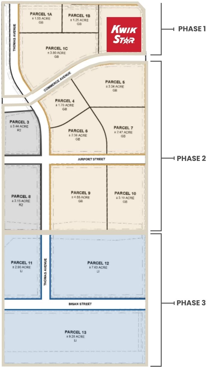
2.9 - 19.79 Acres
Description
Development land located on the corner of Gateway Boulevard and Sundowner Avenue in Tea.
Zoned LI – Light Industrial zoning. Allows contractor shop and storage, light manufacturing, warehouse, lumberyard, etc. Contact broker for more information.
Great visibility along Gateway Boulevard with a daily traffic count over 12,000 vehicles.
Offers a mix of general business, multi-family and industrial.
Lots can be adjusted to Buyer’s needs – contact broker for details and pricing.
Bradyn Neises, SIOR
Alex Soundy, CCIM, SIOR
Isaac Jorgensen



